Water Facility Plan

Why do we need a new water system?

It may be out of your sight, but it is not out of the City's mind. Take a look at the possibilities.

We are asking for community involvement because in the end it is your water, so please send us any comments or suggestions to help us.

Water Facility Comment Form (Click this Link)

Water Feasibility Comment Form, Image

Clark Fork Water System

Why we need a new system:

Section of 4" water line showing severe buildup.

Current Piping

Existing system:
-  approximately 18,000 feet of Cast Iron piping
- approximately 7,200 feet of PVC 4” or less
- approximately 18,200 feet of PVC over 4”

International Fire Code

- minimum of 1,000 gpm for 60 minutes for residential 
- minimum of 1,500gpm for 120 minutes for commercial

General rule of thumb is a 4" line can only handle   approximately 550 gpm.

Needed

- approximately 32,000 feet of pipeline needs to be replaced (72% of the system)

Current Water System Hwy 200/4th Ave of Clark Fork

Current Water System Hwy 200/4th Ave of Clark Fork

9th Street Well Proposed Changes

See list of prices below:

North side of Clark Fork proposed pipe replacement

North side of Clark Fork proposed pipe replacement

See list of prices below:

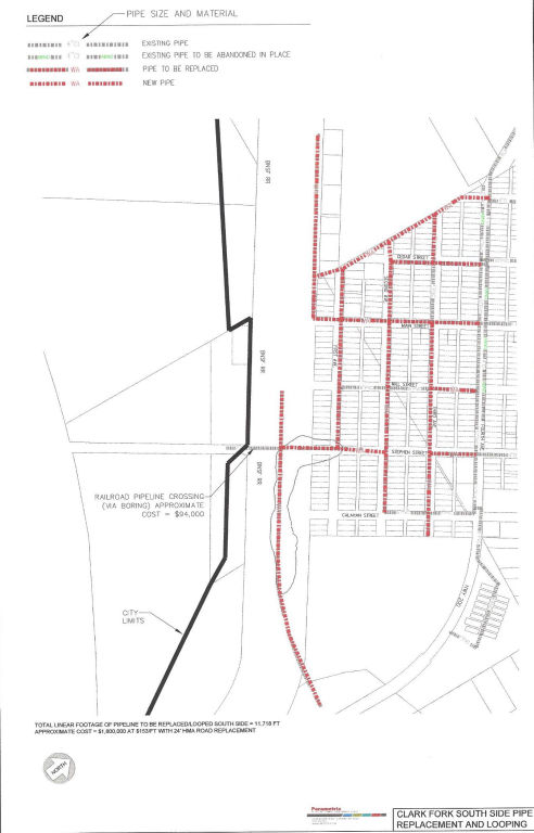
Current Water System South Side of Clark Fork

Current Water System South Side of Clark Fork 

See list of prices below:

System Improvement Needs:

- Approximately 32,000 feet of new PVC pipeline:   the distribution system is estimated to cost around $5.5 million (based on the preliminary cost estimates the distribution portion will need to be broken up into phases) and the well distribution line is estimated to cost $850,000        

 - New or additional storage capacity    

 - Water Treatment Facility


City of Clark Fork Logo, Established 1911

Address:
P.O. Box 10
110 East 3rd Ave.
Clark Fork, Idaho 83811

CityClerk1@ClarkForkIdaho.gov
T: 208-266-1315

Hours:
8:00 am -1:00 pm  Monday-Friday
Closed all Federal Holidays